Ready to find your coastal retreat?
Schedule a Consultation
$650,000
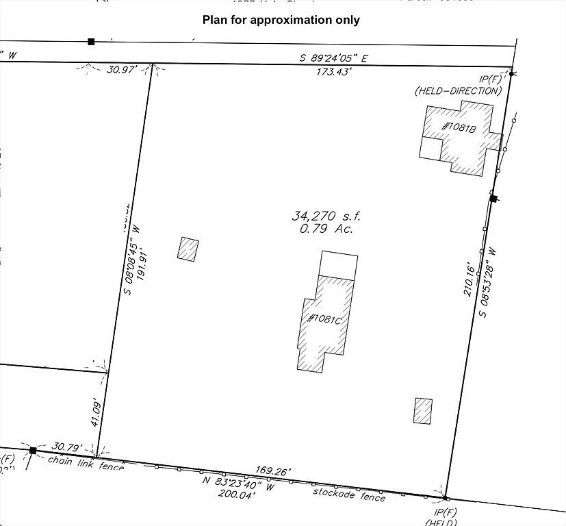
1081-1081 Main St #B, Cotuit
AMAZING Opportunity for a DEVELOPER or visionary homeowner in the seaside village of Cotuit. Cotuit Village is known for its ambience and proximity to Ropes, Loop and other beaches, and an atmosphere of serenity. This lot is set off Main Street in Cotuit but would be accessed from Wings Lane, other access potential as well via Right of Way This unique property contains TWO PRE-EXISTING HOMES which likely would be razed for a re-building. Please research zoning bylaws. A large wooded lot with possibilities galore. Please view attached field card !!! Information displayed is combined from field card for two properties. Please email questions. Thank you
5
Bedrooms
2
Bathrooms
2,052
Sq Ft
AMAZING Opportunity for a DEVELOPER or visionary homeowner in the seaside village of Cotuit. Cotuit Village is known for its ambience and proximity to Ropes, Loop and other beaches, and an atmosphere of serenity. This lot is set off Main Street in Cotuit but would be accessed from Wings Lane, other access potential as well via Right of Way This unique property contains TWO PRE-EXISTING HOMES which likely would be razed for a re-building. Please research zoning bylaws. A large wooded lot with possibilities galore. Please view attached field card !!! Information displayed is combined from field card for two properties. Please email questions. Thank you
Bedrooms
5
Bathrooms
2
Square Feet
2,052
Property Type
SINGLE_FAMILY



